なんとかした
潮はだんだん落ちてくるけど
なんとかなるじゃろ
ところがどっこい
朝からサッパリ
何ヶ所か回ってもスッカラカン
思い切ってエリアチェンジ

当たりアリ

良かった〜〜

でも、だんだん…

風が…

ビュービュー

少し島陰に避難

そこからは辛抱の釣り

いや〜なかなか
厳しかった〜〜







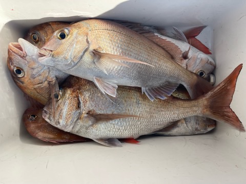
トップ11枚
ツヌケが3人
若干サイズが落ちたかな
なんとかなってよかった
潮はだんだん落ちてくるけど
なんとかなるじゃろ
ところがどっこい
朝からサッパリ
何ヶ所か回ってもスッカラカン
思い切ってエリアチェンジ

当たりアリ

良かった〜〜

でも、だんだん…

風が…

ビュービュー

少し島陰に避難

そこからは辛抱の釣り

いや〜なかなか
厳しかった〜〜







トップ11枚
ツヌケが3人
若干サイズが落ちたかな
なんとかなってよかった